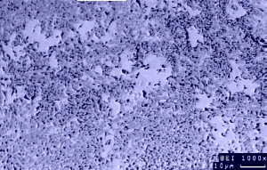
Diamantwerkzeuge: Kobalt-Bronze-Bindung


Kobalt (dunkel, porös) und Bronze (hell), aus einer gesinterten Diamantbindung.

REM, Rückstreuelektronenbild, Originalvergrößerung 1000x.


[FELS WERKSTOFFANALYTIK]